Details
London Road, West Kingsdown, Sevenoaks
OIRO £259,000
Description
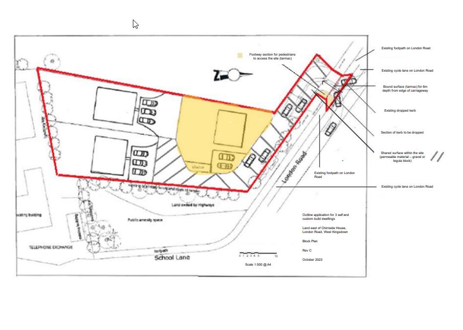
Plot one is for sale out of this small three-plot development and offers an exciting opportunity for custom and self-build projects allowing you to design your own detached house or bungalow with ample parking. The plot benefits from gas, electricity, water and main drainage connections, adjacent to the plot with the site road to be finished in stone chippings and the access road in asphalt
PLOT1 : A SELF BUILD DEVELOPMENT OPPORTUNITY WITH OUTLINE PLANNING CONSENT AND SUBJECT TO CONDITIONS - £300,000 REFERENCE 25/00200/OUT. PLEASE NOTE ONLY PLOT ONE IS FOR SALE.
DESCRIPTION
PLOT ONE WITH OUTLINE PLANNING CONSENT FOR A DETACHED PROPERTY Outline planning application (some matters reserved* see planning permission ) for 3 serviced plots for Self and Custom Housebuilding.
A rare opportunity to acquire this self build plot in West Kingsdown
LOCATION
Ideally situated convenient to the village which provides excellent local amenities including a preschool, primary school, medical centre, hairdressers, beauticians, convenience store, village public house, village hall and library. Also within easy walking distance are a Co-op supermarket, chemist/pharmacy, gym, Chinese takeaway, fish and chip shop, delicatessen, card and flower shop, dry cleaners, newsagent/post office and more. For commuters, a bus stop is located at the border of the site with services to Swanley and onward fast train connections to Bromley, London Victoria and Maidstone.
PLANNING NOTICE
Sevenoaks District Council, as the local planning authority has granted planning permission for the above development, SUBJECT TO THE CONDITIONS set out below: 1) The development to which this permission relates must be begun before:- The expiration of three years from the date of this permission; or- The expiration of two years from the final approval of the reserved matters whichever is the later. In Pursuance of section 92(2) of the Town and Country Planning Act 1990. 2) Details relating to the scale, appearance and layout of the proposed building(s) and the landscaping of the site (hereinafter called the "reserved matters") shall be submitted to and approved in writing by the District Planning Authority before any development is commenced In Pursuance of section 92(2) of the Town and Country Planning Act 1990. For full full conditions please ask the agent for a copy of the outline planning granted.
AGENTS NOTE
The land is sold on an unconditional basis, purchasers considering type of land usage alternative uses are deemed to rely upon their own enquiries and that planning detailed permission maybe required for any changes. Photographs represent the whole field and not selected plot
Every care has been taken with the preparation of these Particulars but complete accuracy cannot be guaranteed. If there is any point, which is of particular importance to you,
please obtain professional confirmation. Photographs and drawings of land are for illustration purposes only and not to scale.
The access is via a shared vehicular access and will be shared by all landowners.
Viewing
Please contact us on 01732 452246 if you wish to arrange a viewing appointment for this property, or require further information.
Disclaimer
Ibbett Mosely endeavour to maintain accurate depictions of properties in Virtual Tours, Floor Plans and descriptions, however, these are intended only as a guide and purchasers must satisfy themselves by personal inspection.
Plot one is for sale out of this small three-plot development and offers an exciting opportunity for custom and self-build projects allowing you to design your own detached house or bungalow with ample parking. The plot benefits from gas, electricity, water and main drainage connections, adjacent to the plot with the site road to be finished in stone chippings and the access road in asphalt
PLOT1 : A SELF BUILD DEVELOPMENT OPPORTUNITY WITH OUTLINE PLANNING CONSENT AND SUBJECT TO CONDITIONS - £300,000 REFERENCE 25/00200/OUT. PLEASE NOTE ONLY PLOT ONE IS FOR SALE.
DESCRIPTION
PLOT ONE WITH OUTLINE PLANNING CONSENT FOR A DETACHED PROPERTY Outline planning application (some matters reserved* see planning permission ) for 3 serviced plots for Self and Custom Housebuilding.
A rare opportunity to acquire this self build plot in West Kingsdown
LOCATION
Ideally situated convenient to the village which provides excellent local amenities including a preschool, primary school, medical centre, hairdressers, beauticians, convenience store, village public house, village hall and library. Also within easy walking distance are a Co-op supermarket, chemist/pharmacy, gym, Chinese takeaway, fish and chip shop, delicatessen, card and flower shop, dry cleaners, newsagent/post office and more. For commuters, a bus stop is located at the border of the site with services to Swanley and onward fast train connections to Bromley, London Victoria and Maidstone.
PLANNING NOTICE
Sevenoaks District Council, as the local planning authority has granted planning permission for the above development, SUBJECT TO THE CONDITIONS set out below: 1) The development to which this permission relates must be begun before:- The expiration of three years from the date of this permission; or- The expiration of two years from the final approval of the reserved matters whichever is the later. In Pursuance of section 92(2) of the Town and Country Planning Act 1990. 2) Details relating to the scale, appearance and layout of the proposed building(s) and the landscaping of the site (hereinafter called the "reserved matters") shall be submitted to and approved in writing by the District Planning Authority before any development is commenced In Pursuance of section 92(2) of the Town and Country Planning Act 1990. For full full conditions please ask the agent for a copy of the outline planning granted.
AGENTS NOTE
The land is sold on an unconditional basis, purchasers considering type of land usage alternative uses are deemed to rely upon their own enquiries and that planning detailed permission maybe required for any changes. Photographs represent the whole field and not selected plot
Every care has been taken with the preparation of these Particulars but complete accuracy cannot be guaranteed. If there is any point, which is of particular importance to you,
please obtain professional confirmation. Photographs and drawings of land are for illustration purposes only and not to scale.
The access is via a shared vehicular access and will be shared by all landowners.
Viewing
Please contact us on 01732 452246 if you wish to arrange a viewing appointment for this property, or require further information.
Disclaimer
Ibbett Mosely endeavour to maintain accurate depictions of properties in Virtual Tours, Floor Plans and descriptions, however, these are intended only as a guide and purchasers must satisfy themselves by personal inspection.
Features
- Development Opportunity Plot one only
- Plot has Connections for Drains, Gas, Water, Electricity and Broadband
- Village Location Close to Amenities
- Tenure Freehold
- Outline Planning permission granted
- Planning Consent granted subject to specific conditions
- Great Location
- Exciting opportunity for custom and self-build project
- Only Plot one is for sale
Share
Request aValuation
Find out how much your home is worth with a free valuation.

